Hurricane Center Satellite Views: Your Ultimate Guide

S.Selfpubbookcovers 149 views
Hurricane Center Satellite Views: Your Ultimate Guide

Hurricane Center Satellite Views: Your Ultimate Guide

Hey everyone! Today, we’re diving deep into something super important when it comes to understanding hurricanes: hurricane center satellite views . These aren’t just pretty pictures; they’re critical tools that meteorologists and weather enthusiasts like us use to track, predict, and understand these powerful storms. So, buckle up, because we’re about to explore the ins and outs of how these satellite views work and why they’re so essential. We’ll look at the different types of satellite imagery, how they’re used, and how you can access them. Trust me, by the end of this, you’ll have a whole new appreciation for the technology that keeps us informed during hurricane season! Let’s get started, shall we?

Understanding Hurricane Center Satellite Views

So, what exactly are hurricane center satellite views , and why are they so darn important? Think of them as the eyes in the sky for meteorologists. They provide a bird’s-eye view of hurricanes, allowing us to monitor their development, intensity, and movement. Without these views, we’d be flying blind, relying solely on surface observations, which are limited in scope and don’t give us the big picture. Satellite imagery offers a comprehensive perspective that covers vast areas of the ocean, where hurricanes typically form and intensify. It’s like having a superpower that lets us see what’s happening miles above the Earth’s surface!

Satellite imagery is gathered by various types of satellites. Some are geostationary, meaning they stay in a fixed position relative to the Earth, providing constant monitoring of a specific region. Others are polar-orbiting, which circle the Earth from pole to pole, offering detailed views of different areas as they pass over. These satellites are equipped with sophisticated sensors that capture different types of data, including visible light, infrared radiation, and microwave radiation. Each type of data provides unique information about the storm. Visible light imagery shows us the clouds and storm structure during the daytime, while infrared imagery allows us to see cloud-top temperatures, which helps determine the storm’s intensity (colder cloud tops indicate a stronger storm). Microwave imagery can even see through the clouds to reveal the structure of the storm’s core. These datasets work together to help forecasters get a complete understanding of what’s happening within the hurricane.

Now, you might be wondering, why is this information so crucial? Well, it’s all about early warning and accurate forecasting . Satellite views allow meteorologists to identify developing storms, track their paths, and estimate their intensity with remarkable accuracy. This information is then used to issue warnings and advisories, giving people time to prepare and evacuate if necessary. Think about it: the more accurate the forecast, the better prepared communities can be. Satellite views are also essential for understanding the dynamics of hurricanes, such as how they interact with the atmosphere and the ocean. This knowledge helps improve our overall understanding of these complex weather systems. So, the next time you see a hurricane warning or a satellite image on the news, remember the incredible technology and expertise behind it!

Types of Satellite Imagery Used by Hurricane Centers

Alright, let’s get into the nitty-gritty of the different types of satellite imagery that hurricane centers use. It’s like having a toolbox filled with different instruments, each providing a unique perspective on the storm. We’ll break down the main types and what they tell us. It’s really fascinating stuff, and understanding it will give you a new appreciation for the work of meteorologists. Are you guys ready?

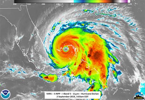
First up, we have visible imagery . This is probably what most people think of when they picture a satellite image of a hurricane. It’s essentially a photo taken from space, showing us the clouds, the structure of the storm, and the overall shape of the hurricane. The resolution varies depending on the satellite, but often, you can see individual cloud features and even the eye of the storm. The big downside? Visible imagery only works during the daytime. Once the sun sets, we need other tools!

Next, we have infrared imagery . This is a game-changer! Infrared sensors measure the temperature of cloud tops. Colder cloud tops indicate higher altitudes and more intense thunderstorms, which are often associated with stronger hurricanes. By analyzing the infrared data, meteorologists can estimate the storm’s intensity, track its development, and monitor changes in its structure, even at night! Infrared imagery is a 24 7 tool, making it incredibly valuable for tracking hurricanes around the clock. The warmer colors typically represent lower cloud tops or clear areas, while the colder colors, like purple and blue, indicate the coldest, highest cloud tops, signifying the most intense parts of the storm. Very cool, right?

Finally, we have microwave imagery . This is the secret weapon! Microwave sensors can penetrate through the clouds and reveal the structure of the storm’s core. This is especially helpful for identifying the eyewall, the most intense part of the hurricane, and for assessing the storm’s overall strength. Microwave imagery can also provide information about the amount of rainfall within the storm, which helps in predicting potential flooding. It’s like having an x-ray vision for hurricanes! While not always available, microwave imagery provides crucial information that other types of imagery can’t. Each type of imagery has its strengths and limitations, and meteorologists use all of them in conjunction to get the most complete picture of a hurricane. These various types of satellite imagery help create a comprehensive understanding of the hurricane’s characteristics. The ability to use multiple types of imagery allows for a more detailed analysis and provides a more complete picture of the storm’s dynamics. Pretty awesome, if you ask me.

How Hurricane Centers Use Satellite Views for Tracking and Forecasting

Okay, so we know what satellite views are and what types are available. Now, let’s dive into how hurricane centers actually use these views for tracking and forecasting. It’s a complex process, but we’ll break it down into manageable parts so you can understand the key steps involved. Trust me, it’s a testament to the skill and expertise of the meteorologists who work tirelessly to keep us safe.

The first step is detection and identification . Meteorologists constantly monitor satellite imagery, looking for any signs of developing storms. They search for areas of organized thunderstorms, which could potentially become hurricanes. This involves analyzing cloud patterns, temperature gradients, and other factors to determine if a storm is forming and if it has the potential to strengthen. Once a storm is identified, the next step is tracking the storm’s path . By analyzing consecutive satellite images, meteorologists can determine the storm’s current location and its direction of movement. They then use computer models and historical data to predict the storm’s future path. This is a crucial step in issuing warnings and advising people about potential impacts. Accurate tracking helps determine which areas are at risk and allows for timely preparation and evacuation if needed. The use of advanced computer models helps to improve the accuracy of these predictions. This is a critical process, where data is used to anticipate where the storm will go.

Next comes intensity estimation . Satellite imagery, especially infrared and microwave data, helps meteorologists estimate the storm’s strength. They analyze cloud-top temperatures, the structure of the eyewall, and other features to determine the storm’s wind speeds and pressure. This information is essential for classifying the storm on the Saffir-Simpson Hurricane Wind Scale, which is used to communicate the potential damage and risks. Stronger storms have lower pressure and higher wind speeds, posing a greater threat to life and property. Intensity estimation plays a vital role in warning systems. Finally, the information gathered from satellite views is used to issue warnings and forecasts . Meteorologists create detailed forecasts that include the storm’s predicted path, intensity, and potential impacts, such as rainfall, storm surge, and wind. These forecasts are disseminated to the public through various channels, including television, radio, and online platforms. The goal is to provide timely and accurate information to help people make informed decisions and take necessary precautions. Warnings are crucial for protecting lives and minimizing property damage. It is a continuous cycle of observation, analysis, and communication, all aimed at protecting lives and property during hurricane season. This real-time information flow enables rapid updates as the storm changes, allowing authorities and the public to stay informed and safe.

Accessing Hurricane Center Satellite Views: Where to Find Them

Alright, so you’re probably thinking,