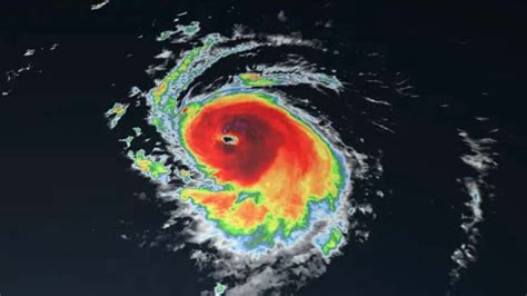
The Weather Channel Live Hurricane Map

S.Selfpubbookcovers 24 views
The Weather Channel Live Hurricane Map

The Weather Channel Live Hurricane Coverage Map: Your Ultimate Guide to Staying Safe

Hey everyone! When hurricane season rolls around, things can get pretty intense. We all want to stay informed, right? That’s where The Weather Channel live hurricane coverage map comes in as a super important tool. It’s not just about seeing where a storm is; it’s about understanding the risks, planning your safety, and getting real-time updates when it matters most. This article is your go-to guide for everything you need to know about using The Weather Channel’s hurricane map, making sure you and your loved ones are as prepared as possible.

Understanding the Power of The Weather Channel’s Hurricane Map

So, you’re probably wondering, “Why is The Weather Channel live hurricane coverage map so essential?” Great question! In the face of a brewing or active hurricane, information is your absolute best defense. This map isn’t just a static image; it’s a dynamic, living representation of the storm’s current position, its projected path, and the potential hazards associated with it. Think of it as your command center for weather intelligence. It integrates data from various sources, including satellites, radar, and hurricane hunter aircraft, to provide the most accurate and up-to-the-minute picture possible. When a storm is developing, the map shows its intensity, wind speeds, and the area it’s impacting. As it moves, you can track its progress, giving you a crucial heads-up on when and where the worst conditions might hit. This allows you to make informed decisions about evacuations, securing your property, and ensuring your family’s safety. The visual nature of the map also helps in understanding the scale of the threat and the areas that are most vulnerable. It’s designed to be user-friendly, even for those who aren’t meteorology experts, breaking down complex data into easily digestible visuals. We’ll dive deeper into the specific features of this map and how you can best utilize them to navigate hurricane season with greater confidence and peace of mind.

Key Features of The Weather Channel’s Hurricane Map You Need to Know

Alright guys, let’s get down to the nitty-gritty of what makes The Weather Channel live hurricane coverage map such a lifesaver. They’ve packed it with features designed to give you the clearest picture possible. First off, you’ll see the storm’s current location , often marked with a distinct icon that clearly indicates its center. Right alongside this, you’ll find its classification – is it a tropical depression, a tropical storm, or a full-blown hurricane? And if it’s a hurricane, what category is it? This is vital because a Category 1 storm is vastly different in terms of potential damage and threat than a Category 5. The map also displays the projected track , which is super important. This isn’t a crystal ball, of course; storm paths can and do change. But the forecast cone of uncertainty gives you a realistic idea of where the storm might go, helping you understand if you’re in the potential path or if your area might be impacted by outer bands and associated heavy rain and wind. Beyond the storm itself, the map often overlays watches and warnings . These are official advisories from meteorological agencies, and they are serious business. Watches mean conditions are possible, while warnings mean conditions are expected or occurring. Paying close attention to these color-coded zones is paramount for taking appropriate action. You’ll also often find wind speed probabilities and rainfall projections . These overlays help you understand the specific threats beyond just the storm’s core, like the risk of downed trees from high winds or flooding from torrential rain. Some advanced maps might even show storm surge potential , which is one of the most dangerous aspects of hurricanes. Knowing these features and how to interpret them will significantly boost your preparedness and help you make critical decisions when a storm threatens your area. It’s all about having the right information at your fingertips when you need it most.

How to Use the Map for Effective Hurricane Preparedness

Okay, so you know what the cool features are, but how do you actually use The Weather Channel live hurricane coverage map to be proactive ? This is where the rubber meets the road, folks. First things first, identify your risk . Look at the map and see if your location falls within the projected track or the cone of uncertainty. Even if you’re not in the direct path, check for watches and warnings for your area, as these indicate potential dangers like heavy rain, gusty winds, and even isolated tornadoes. Monitor frequently . Don’t just check the map once and forget about it. Storms are dynamic, and their paths and intensity can change rapidly. Make it a habit to check for updates every few hours, especially as a storm gets closer. This allows you to adjust your plans accordingly. Understand the different threats . Remember, hurricanes bring more than just wind. Pay attention to the projected rainfall totals and the potential for storm surge. This information will help you decide if you need to prepare for flooding, secure outdoor items, or even consider evacuation. Plan your evacuation route if necessary. If an evacuation order is issued for your area, or if you feel unsafe, the map can help you visualize potential routes. Know where you’re going, have a backup plan, and be aware of potential road closures or flooding along your route. Share information wisely . Use the map to inform your family and neighbors, but encourage them to get their information directly from the source. Avoid spreading rumors or unconfirmed reports. Prepare your emergency kit . Based on the projected threats shown on the map – be it high winds, heavy rain, or potential power outages – ensure your emergency kit is stocked with essentials like water, non-perishable food, a first-aid kit, batteries, and any necessary medications. By actively engaging with The Weather Channel live hurricane coverage map and understanding its data, you’re not just passively observing; you’re actively preparing, which is the best way to stay safe during hurricane season.

Beyond the Map: Additional Resources from The Weather Channel

While The Weather Channel live hurricane coverage map is an indispensable tool, it’s just one piece of the puzzle when it comes to staying safe during hurricane season. The Weather Channel offers a wealth of additional resources designed to complement the map and provide a more comprehensive understanding of approaching storms. Their website and app are packed with detailed forecasts for specific locations, going beyond what a map can visually represent. You can get hourly breakdowns, temperature changes, and more nuanced wind speed information. They also provide expert analysis and breaking news from meteorologists and storm chasers who are on the ground or tracking the storm closely. These insights can offer crucial context and interpretation of the data presented on the map. Keep an eye out for live video streams and TV coverage , where meteorologists will walk you through the latest updates, often using the very same hurricane map you’ve been consulting. This human element can be incredibly reassuring and informative. Furthermore, The Weather Channel often provides preparedness tips and safety guidelines specifically tailored to hurricane threats, such as how to prepare your home, what to do during landfall, and post-storm safety advice. They also have sections dedicated to understanding hurricane terminology , which can be confusing for many people. Knowing the difference between a watch and a warning, or understanding what